Land Title- Tiny (Township) v. Battaglia, 2013 ONCA 274
BETWEEN
The Corporation of the Township of Tiny
Applicant (Appellant)
and
Darick Battaglia and 1737118 Ontario Inc.
Respondents (Respondents in Appeal)
and
Burgar Rowe Professional Corporation and James Innes McIntosh
Interveners
M. Jill Dougherty and Raivo Uukkivi, for the appellant
Scott R. Fairley and William Brennan, for the respondents
Sean L. Gosnell, for the interveners
Heard: July 17, 2012
On appeal from the judgment of Justice Anne Mullins of the Superior Court of Justice, dated December 23, 2011.
Epstein J.A.:
A. overview
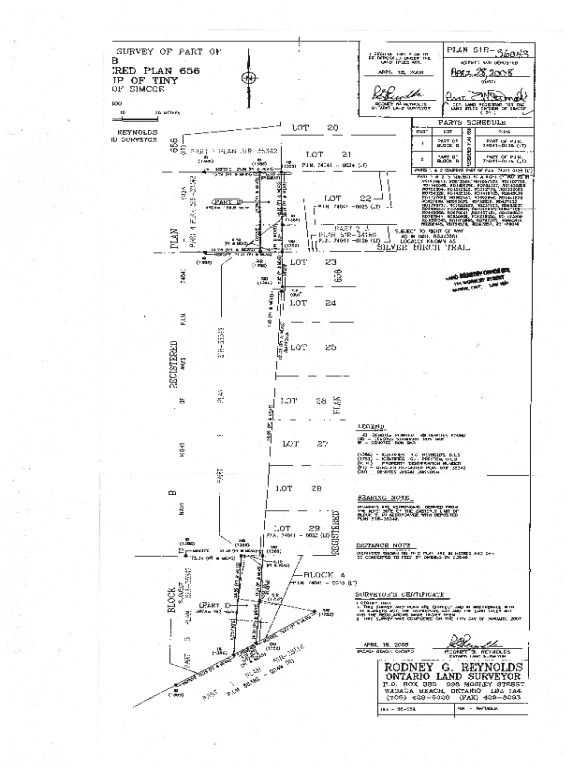
[1] This appeal concerns the ownership of the southern part of a stretch of beach property along the shoreline of Georgian Bay in the appellant township, the Township of Tiny. The ownership issue involves determining whether the beach is part of property identified as Block B within a plan of subdivision, registered as Plan 656. The answer to that question depends on whether the westerly boundary of Block B is the high water mark, as shown in Plan 656, or is the water’s edge, as found by the application judge.
[2] In 1921, Plan 656 was registered on part of Broken Lot 27, Concession 1, in the Township by the joint owners of the lands, Jonathan Tripp and Wilfred Aldridge. As can be seen from Plan 656, a colour copy of which is attached to these reasons and marked as “Schedule A”, the westerly boundary of the Plan is shown as the western edge of a parcel identified as Block B and labelled “High water line”. The land to the west of Block B extends to the water’s edge and is identified as “BEACH” (the “Beach”). It is agreed that the coloured outline on the Plan depicts the limits of the subdivision. The coloured outline indicates that the Beach is not included in the lands that were subdivided by Plan 656.
[3] The question of the ownership of the southern part of the Beach (the “South Beach”) turns in part on the determination of the location of the westerly boundary of Block B on Plan 656. The boundary issue affects both the South Beach and the northern portion of the Beach. The application judge was “advised that land owners adjacent to the lands in question [were] served with notice of the proceedings.”
[4] For many years, there was no activity that brought the westerly boundary of Block B or the ownership of the Beach into question. Then, for reasons I will later explain, in 2001, the Township transferred Block B to itself. In 2006, the Township passed a bylaw re-zoning the Beach as public open space. The respondent, Mr. Battaglia, who owned one of the waterfront lots on Plan 656, appealed this re-zoning to the Ontario Municipal Board.
[5] The OMB appeal was settled on a basis that included the Township’s agreement to transfer Block B to the heir of Mr. Aldridge. The relevant transfers, registered in May 2008, describe Block B according to reference plans that depict Block B as including the Beach. Also in May 2008, Mr. Battaglia, through his company, the respondent, 1737118 Ontario Inc. (“173”), purchased Block B from the Aldridge heir in a transfer referring to the same reference plans that show Block B as including the Beach.
[6] Subsequent events led the Township to realize that the westerly boundary of Block B and the issue of the ownership of the Beach had to be resolved. The Township therefore brought an application under rule 14.05 of the Rules of Civil Procedure, R.R.O. 1990, Reg. 194, seeking relief including declarations that, if granted, would have the effect of establishing that the westerly boundary of Block B is not the water’s edge, and that the heirs of the other co-developer of Plan 656, Mr. Tripp, own the South Beach.
[7] Before the application judge, the parties consented to the granting of intervener status to Burgar Rowe Professional Corporation and James Innes McIntosh, the law firm and lawyer who acted for the Township in connection with the conveyance by the Township of Block B to itself in 2001 and in connection with the Township’s May 2008 conveyances.
[8] The application judge dismissed the Township’s application in its entirety. She concluded that the westerly boundary of Block B is not where it is shown on Plan 656 – the high water mark – rather, it is the water’s edge. Since 173 had purchased all of Block B from the Aldridge heir, it owned the Beach, with the exception of specific parcels that Mr. Aldridge had conveyed to two owners of waterfront lots on Plan 656 and that Mr. Tripp’s heirs had conveyed to the Township.
[9] Notwithstanding the fact that the respondents sought no relief in the proceeding, the application judge made a series of declarations in their favour. Significantly, she declared – in effect – that 173 had acquired an indefeasible title to the majority of the Beach. The judgment declares that 173 has acquired indefeasible title to Part 1 on Reference Plan 51R-35342, save and except Parts 1 and 2 on Reference Plan 51R-36043. These plans are discussed below.
[10] For the reasons that follow, I would allow the Township’s appeal. The application judge’s conclusion that the westerly boundary of Block B is the water’s edge rests on her factual finding that the original developers intended to include the Beach within the registered plan of subdivision. For reasons I will explain, I am of the view that this finding is based on a misapprehension of the evidence and an erroneous reliance on four reference plans that different surveyors deposited on title. The various conveyances of Block B did not affect the ownership of the Beach. I also conclude that the application judge erred in holding that the doctrine of estoppel operates to vest title to the majority of the Beach in 173.
B. The Factual Background
[11] The factual background is complicated. A lengthy history is therefore necessary.
(a) Title History Behind Plan 656
[12] Two relevant conveyances occurred prior to the registration of Plan 656.
[13] On February 28, 1901 Henry and Anne Argue transferred to Jonathan Tripp “the north part of Broken Lot Number twenty-seven in the first concession of the Township of Tiny … containing forty-four acres”. The deed included no metes and bounds description of the lands conveyed.
[14] On August 12, 1921 Jonathan Tripp conveyed to Wilfred Aldridge part of the north part of Lot 27 (the “Aldridge lands”). The metes and bounds description of the Aldridge lands describes the westerly boundary of the property as running along “the waters edge of … Georgian Bay”. A sketch prepared by an Ontario land surveyor, A.G. Ardagh, dated May 14, 1921, is attached to the deed. The sketch shows Georgian Bay as the natural boundary on the westerly side of the Aldridge lands. Mr. Tripp retained the southerly portion of the original 44 acres obtained in 1901 from the Argues (the “Tripp lands”).
(b) Ontario Crown Policy on Water Boundaries
[15] To understand the historical origin of the boundary dispute in this appeal, it is necessary to explain the use of the term “high water mark” as a matter of provincial Crown policy. From the 1900’s and for many decades onwards, the government departments responsible for Crown lands took the position that the Crown owns the beds of navigable waters extending to the high water mark. Any area of dry land between the water’s edge and the high water mark belonged to the Crown. This position conflicted with common law authority that the boundary between land and non-tidal waters is the water’s edge.
[16] There was much confusion amongst surveyors about how to locate the high water mark. In 1940, the province enacted a statutory definition of the terms “bed” and “high water mark” by amending the Bed of Navigable Waters Act, S.O. 1911, c. 6.[1] The amendments also gave statutory effect to the Crown’s position that it owns the beds of navigable waters extending to the high water mark.
[17] This amending legislation was repealed in 1951, thereby restoring the common law position. Nonetheless, the Crown continued to assert ownership over the beds of navigable waters to the high water mark.
[18] The Crown position was ultimately rejected in the decision of Walker v. Ontario (Attorney General), [1971] 1 O.R. 151 (H.C.J.), aff’d [1972] 2 O.R. 558, aff’d [1975] 1 S.C.R. 78, which is discussed below.
[19] The Crown policy is significant in this case because Messrs. Aldridge and Tripp were subdividing waterfront lands. Thus, the surveyor of the plan of subdivision needed to decide where to locate the lakeward, or westerly boundary on the plan.
[20] The record includes correspondence from the Ontario Department of Lands Forests & Mines, Office of Director of Surveyors, to A.G. Ardagh, O.L.S., the surveyor Aldridge and Tripp retained to prepare the plan of subdivision. In a letter dated September 28, 1921, the Director of Surveys responded to a letter from Mr. Ardagh (which is not in the record) concerning the Aldridge and Tripp lands. The Director set forth the government’s policy concerning waterfront boundaries:
It has been the ruling and custom in the Department to consider that the boundary of a lot bordering on the water where no specific mention is made in the description is the high water mark and any beach below the high water mark is in the Crown and does not belong to the adjoining owner other than that he has riparian rights and the Crown does not dispose of this beach or water lot to other parties excepting those who have the riparian rights on the adjoining land.
This being the case I can hardly undertake to write you a letter that the lot owned by Mr. Aldridge will go to the waters edge. If Mr. Aldridge owns the parcel of land the other party from whom he purchased would not, of course, own the beach. As I said before, the beach belongs to the Crown…
[21] Mr. Ardagh thus prepared the plan of subdivision affecting the Aldridge and Tripp lands in the light of the Director of Surveys’ position that the Beach was Crown land.
(c) Plan 656
[22] Plan 656, registered by Messrs. Aldridge and Tripp in October 1921, subdivided the Aldridge and Tripp lands into a series of 50-foot wide lots, located on either side of Woodland Avenue. Woodland Avenue runs north and south. The lots lying to the west of Woodland Avenue are Lots 2-29 and Block A, which are referred to for ease of reference as the waterfront lots[2], while the lots lying to the east of Woodland Avenue are Lots 30-59 and are referred to here as the rear lots.
[23] The coloured portion of the Plan shows Lots 2-29 and Block A as being bounded on the west by Block B. Block B is shown as being “20' ± in perpendicular width”. Block B is bounded on the west by a boundary marked as the “High water line”.
[24] The Beach, shown as the land to the west of Block B and extending to the “water’s edge”, is not included in the coloured portion of the version of Plan 656 that is found in the Registry Office.
(d) Conveyances by Tripp and Aldridge
[25] In 1921, there were a series of conveyances between Tripp and Aldridge as a result of which Aldridge held title to all of the waterfront lots on Plan 656, with the exception of Lot 22 and Block A, which Tripp retained. Aldridge also held title to Block B, except for the parts of Block B in front of Lot 22 and Block A. Tripp and Aldridge also gave each other rights of way over the portions of Block B owned by the other.
[26] The most significant result of these conveyances for the purposes of this case is that Aldridge held title to Block B in front of all of the waterfront lots except Lot 22 and Block A.
[27] It is also important to emphasize that none of the legal descriptions in the 1921 transfers between Tripp and Aldridge after the registration of Plan 656 refer to the area marked “BEACH” on Plan 656. Thus, Aldridge retained title to the northern portion of the Beach in front of Lots 2-14 pursuant to the August 1921 conveyance to him from Tripp, while Tripp retained title to the southern portion of the Beach in front of Lots 15-29 and Block A pursuant to the conveyance to him by the Argues.
[28] Beginning in 1921, Aldridge conveyed the lots on Plan 656 in separate deeds to various individuals. Each deed conveyed a specified lot on the Plan, together with a right of way over Block B. None of the descriptions in the deeds refer to the Beach, with the following two exceptions that are particularly significant, as I will later explain.
(e) Mr. Aldridge Conveys Portions of the Beach
[29] In 1922, Mr. Aldridge transferred Lot 12 on Plan 656 to Robert Giffen, and in 1923, he transferred Lot 13 to Myrtle Forsey, together with rights of way over Block B. In 1926, Aldridge conveyed parts of the Beach to Giffen and Forsey. In two separate deeds both registered on January 22, 1926, Aldridge conveyed the portion of the Beach in front of Lot 12 to Giffen and the portion of the Beach in front of Lot 13 to Forsey.
[30] The legal description of these parcels states that the lands are part of Broken Lot 27, Concession 1, “being on the lakeside” of Lots 12 and 13 as shown on Plan 656. The metes and bounds descriptions describe the parcels as commencing at the western boundary of Block B as shown on Plan 656, running westerly to the water’s edge and then southerly and along the water’s edge.
(f) Transfers to the Township of Portions of Land on Plan 656
[31] There was no significant title activity until 1970, when Mr. Tripp’s heirs conveyed to the Township the southerly 30 feet of Lot 22 for the stated purpose of “a right of way for the owners of the rear lots on Plan 656 for access to Georgian Bay.”
[32] On January 5, 1983, a Tripp executor provided a quit claim deed in favour of the Township to Lot 52 and to that part of Block B lying in front of Lot 22 and that part of Block B lying in front of Block A on Plan 656. The quit claim deed states that the lands had been dedicated by user to the Township. A quit claim deed operates as a release by a party of his or claim to or interest in land. A quit claim deed passes any title, interest or claim that the grantor may have in the property to the grantee.
[33] In a deed registered on June 20, 2001, the Township transferred Block B to itself. The transfer, prepared by the Township’s solicitor, James McIntosh of Burgar Rowe (the interveners) contains the following explanation: “Transfer from municipal corporation to itself in verification of municipal ownership of public beach and establish paper title to property within 40 year title search period. No consideration passing hands.” The legal description of the transferred lands refers to Block B on Plan 656, while the explanation in the deed indicates that the transfer is verifying the Township’s ownership of the public beach.
[34] On July 9, 2001, the lands within Plan 656 were converted from the Registry system to Land Titles. The Beach remained in the Registry Division as part of Lot 27, Concession 1.
(g) Reference Plans Deposited on Title Showing Westerly Boundary of Block B as the Water’s Edge
[35] In 2005, the Township retained Gary Preston, O.L.S., to prepare a reference plan of Block B. The plan was deposited on December 8, 2005 as Reference Plan 51R-34189 (“Preston Plan”). The Preston Plan, attached as Schedule “B”, shows Block B as extending to the water’s edge, in conflict with the depiction of Block B on Plan 656 as a 20' ± wide strip extending to the high water line. The Preston Plan includes within the boundaries of Block B the two parcels of the Beach in front of Lots 12 and 13 that were transferred in 1926 to Giffen and Forsey.
[36] On February 15, 2006, another surveyor, Rodney Reynolds, O.L.S., who had been retained by the owners of Lots 12 and 13, deposited a reference plan on title to Plan 656 and to Lot 27, Concession 1 (Plan 51R-34362). This plan is attached as Schedule “C”. Plan 51R-34362 shows the water’s edge as the boundary of Block B, except in front of Lots 12 and 13, where it is shown as a 20 foot wide strip.
[37] On February 18, 2006, Mr. Reynolds wrote a letter to Mr. Battaglia in which he described the title history for Lot 27, Concession 1, and the lands on Plan 656. To the letter, Reynolds attached the report he had prepared for the owners of Lots 12 and 13. The Reynolds letter sets out the following conclusions:
· Aldridge only granted two instruments that referred to the Beach between the High Water Mark and the Water’s Edge [the grants to Giffen and Forsey described above]. This research would lead us to believe the title to Block B, Plan 656 in front of Lots 2 to 14 is with the estate of William Aldridge.
· In 1989, Gibbs, the owner of a beach, went to court against the Village of Grand Bend. The decision from that case indicates the boundary of lands along a lake where there are no reservations is the Water’s Edge. The High Water Mark is a retracement of the original limit, the water’s edge. The conclusion from this decision moves the easterly [sic – westerly] limit of Block B Plan 656 from the High Water Mark to the Water’s Edge.
· Block B Plan 656 has 4 owners:
o Malecki (that portion lying in front of Lot 12) [Malecki is a successor in title to Giffen];
o Dawson (that portion lying in front of Lot 13) [Dawson is a successor in title to Forsey];
o the Township (that portion lying in front of Lot 22 and Block A); and
o the estate of Wilfred Aldridge (the remainder).
· This ownership means the portion of Block B lying between the High Water Mark and the Water’s Edge in front of Lots 12 and 13 is a PRIVATE Beach for Malecki and Dawson. The remainder is a PRIVATE Right of Way for all the owners within Plan 656.
[38] On April 23, 2007, Mr. Reynolds deposited on title a further reference plan (“Reynolds Plan 51R-35342”), which also depicts Block B as being bounded by the water’s edge. This plan is attached as Schedule “D”.
(h) Mr. Battaglia Appeals to the OMB and Contacts the Heir of Mr. Aldridge
[39] On January 9, 2006, the Township enacted a new comprehensive zoning by-law that zoned Block B on Plan 656 as public open space.
[40] On March 8, 2006, Mr. Battaglia appealed the zoning by-law as it pertained to the lands in front of Lot 3, on Plan 656, which he owned. He advised the Township that he was in “negotiations with the actual current land owner heirs to purchase” Block B. He also enclosed the Reynolds letter as “proof that the lands are not municipally owned and as such the rezoning of such lands are not permissible.”
[41] Mr. Battaglia, with the help of a private investigator, then located Gwendolyn Gladys Olds Lewis, the 93-year-old heir of Wilfred Aldridge. In a letter to her dated March 28, 2006, Mr. Battaglia advised: “The Township of Tiny has laid claim to lands rightfully belonging to you by a series of questionable registry entries indicating the possibility of gross misconduct and abuse of the government registry system.”
[42] In this letter, Mr. Battaglia summarized the title history of the lands. He indicated that Block B on Plan 656 is 20 feet wide. He repeated the passage from the Reynolds letter stating that the Gibbs decision “moves the easterly [sic – westerly] limit of Block B Plan 656 from the high water mark to the water’s edge.”
[43] In a subsequent letter dated September 7, 2007, Mr. Battaglia’s lawyer wrote to the Township advising that Mr. Battaglia had entered into an agreement of purchase and sale with Ms. Olds Lewis with respect to “Block B and adjacent beachfront property down to the high water mark.” Counsel asked the Township to “execute a deed back to Aldridge” to permit this transaction to close on the scheduled closing date of September 17, 2007.
(i) Township Investigates Title to Block B
[44] In response to Mr. Battaglia’s challenge to the Township’s ownership of Block B and his OMB appeal, the Township’s municipal solicitors, Burgar Rowe, retained a leading real estate lawyer, Sidney Troister, to provide an opinion on the title issue.
[45] In his detailed opinion, Mr. Troister concluded that the heir of Wilfred Aldridge was the rightful owner of most of Block B, except for the portions in front of Lot 22 and Block A, which the Tripp executor transferred to the Township in 1983. Mr. Troister opined:
The Township of Tiny has conveyed title to Block B [to itself] ... but without any apparent claim or history of ownership entitling it to do so other than its title to Block B in front of lot 22 and Block A.
[46] Mr. Troister’s opinion contained a thorough analysis of whether Block B includes the Beach. Mr. Troister disagreed with Mr. Reynolds’ view that the decision in Gibbs v. Grand Bend (Village) (1995), 26 O.R. (3d) 644, reversing (1989), 71 O.R. (2d) 70 (H.C.J.), had the effect of putting the boundaries of the high water mark and the water’s edge together. In his view, these terms refer to two different boundaries. Mr. Troister opined that to extend Block B to the water’s edge was illogical. It would be inconsistent with a registered plan of subdivision that showed a 20 foot wide Block B and about 24 feet of beach. It would also be inconsistent with two deeds by which Aldridge conveyed parts of the Beach to Giffen and Forsey. Troister concluded that the Beach belonged to those to whom it was last conveyed – Aldridge, Tripp, and the owners of Lots 12 and 13.
[47] On September 19, 2007, the Township’s solicitor, James McIntosh of Burgar Rowe, sent the Township a copy of Mr. Troister’s opinion letter. In his covering letter, Mr. McIntosh advised the Township that Mr. Troister’s opinion is that the Township’s ownership of Block B is subject to attack by the rightful owner, and that the legitimate owner of Block B – with the exception of the parts in front of Lot 22 and Block A – is Wilfred Aldridge or his estate. Mr. McIntosh noted that a representative of Mr. Aldridge’s estate was seeking ownership of Block B. He recommended that the Township enter into discussions with this representative to “facilitate the transfer of ownership on the best terms possible”.
[48] Significantly, Mr. McIntosh’s fairly detailed covering letter that purported to summarize Mr. Troister’s opinion makes no reference to several important aspects of it. Mr. McIntosh does not mention Mr. Troister’s opinion that Block B does not include the Beach or his opinion that Tripp, as well as Aldridge, retained title to much of the Beach.
(j) The Township and Mr. Battaglia Settle the OMB Appeal
[49] This is when the waters beyond the shores of Plan 656 get completely muddied.
[50] Having received Burgar Rowe’s advice as set out in its covering letter of September 19, 2007, the Township agreed to settle Mr. Battaglia’s OMB appeal by consenting to the zoning of Block B (except the portions owned by the Township) as private open space. The settlement was effected on December 12, 2007. The Township also agreed to convey Block B (except the parts that the Township owned) back to Ms. Olds Lewis. Mr. Battaglia deposed that he “relied on the description of Block B in the deeds, the surveys and the zoning by-law materials in determining whether to complete the transaction with Ms. Olds Lewis.” All of those documents, most of which were created by or on behalf of the Township, depicted Block B’s westerly boundary as the water’s edge.
(k) Three Conveyances of Block B in May 2008
[51] After the OMB appeal was settled, two conveyances were registered by the Township and one by Mr. Battaglia and 173 – all dealing with Block B.
[52] On May 8, 2008, the Township registered two transfers. First, the Township transferred to itself part of Block B, Plan 656, being Parts 4 and 5 on Plan 51R-35342 (which are the portions of the Beach in front of Lot 22 and Block A), and Parts 1 and 2 on Plan 51R-36043. Reference Plan 51R-36043 is a third reference plan that was deposited on title by Mr. Reynolds. This plan is attached as Schedule “E” to these reasons. Parts 1 and 2 on Plan 51R-36043 are the portions of Block B in front of Lot 22 and Block A.
[53] The May 2008 transfer from the Township to itself explains that nominal consideration is given for the following reason: “Transfer to confirm ownership by the Corporation of the Township of Tiny and to register updated description with respect to land conveyed in Instrument No. RO782959”. This instrument number is the 1983 quit claim deed from the Tripp executor to the Township that vested the Township with title to that part of Block B lying in front of Lot 22 and in front of Block A.
[54] In the second transfer, the Township conveyed to Ms. Olds Lewis part of Block B shown as Part 1 on Plan 51R-35342, except for Parts 1 and 2 on Plan 51R-36043. The recitals in the transfer state in part: “The Transferee is entitled to be the owner by law, as Estate Trustee of the Estate of the deceased owner, Wilfred G. Aldridge.” The transfer explains that nominal consideration is being given to “correct error in description in RO1457562 [the instrument in which the Township transferred Block B to itself] relating to land owned by The Corporation of the Township of Tiny and to confirm the title of the Transferee to the land described herein which was inadvertently included as part of the lands described in RO1457562.” As in the case with the first 2008 transfer, the legal description refers to the property being conveyed as Part 1 on Plan 51R-35342, which depicts the westerly boundary of Block B as the water’s edge.
[55] There was a third conveyance registered on May 8, 2008, and prepared by Mr. Battaglia’s solicitor, whereby Ms. Olds Lewis transferred to 173 the same lands that the Township had just conveyed to her in the preceding transfer. The consideration paid to Ms. Olds Lewis was $150,000.
[56] Therefore, 173 became the owner of part of Block B, subject to multiple rights of way over Block B in favour of owners of the front and rear lots on Plan 656. The reference plans referred to in the property description are two of those deposited by Mr. Reynolds, which depict Block B as extending to the water’s edge.
[57] The Township soon learned that Mr. Battaglia planned to sever and sell or otherwise develop the Beach. The Township retained a new lawyer, counsel with WeirFoulds. It also retained a different surveyor, Chester Stanton, O.L.S., to investigate the boundaries and ownership of Block B and the Beach and to prepare a survey.
[58] In Mr. Stanton’s survey report, dated April 23, 2010 (the “Stanton Report”), he expressed his opinion that Block B is a 20' wide strip as laid out in Plan 656, and that the reference plans prepared by Mr. Reynolds showing Block B as extending to the water’s edge are inaccurate.
[59] Mr. Stanton prepared a reference plan, (the “Stanton Plan”), and attached it to his report. It is attached to these reasons as Schedule “F”. On April 20, 2010, the Stanton Plan (Plan 51R-37338) was deposited on title to Part of Lot 27, Concession 1 in the Registry Division and Block B, Plan 656 in the Land Titles Division. The Stanton Plan depicts Block B as being a 6.1 metre (20 foot) wide strip lying to the west of Lots 2-29 and Block A and lying to the east of an area marked as “‘BEACH’ SHOWN ON R.P. 656”. The area marked as “BEACH” extends to the water’s edge and is shown as having variable width.
[60] The Stanton Report also addresses ownership. Mr. Stanton opines that any portion of Lot 27, Concession 1, lying to the west of Block B was retained by Messrs. Aldridge and Tripp. The Aldridge heirs held title to the portion of the Beach lying in front of Lots 2-14, other than the portion that Mr. Aldridge conveyed in front of Lots 12 and 13 to Mr. Giffen and Ms. Forsey. The heirs of Mr. Tripp held title to the remaining portion of the Beach in front of Plan 656.
[61] As for the ownership of Block B, Mr. Stanton’s view is that, as things stood prior to May 2008, and disregarding the Township’s transfer to itself in 2001 of Block B, the Aldridge heirs retained title to all of Block B except the portions in front of Lot 22 and Block A, which were vested in the Township by the Tripp executor. In his view, the problems created by the reference plans prepared by Mr. Preston and Mr. Reynolds that incorrectly show Block B as extending to the water’s edge could be rectified.
(l) Quit Claim Deeds from the Tripp Heirs to the Township
[62] After receiving Mr. Stanton’s opinion, the Township located the Tripp heirs and obtained from them quit claims of their interests in the South Beach for consideration totalling $21,000. The quit claim deeds describe the lands as Part of Lot 27, Concession 1, shown as Part 3 on the Stanton Plan.
C. The Application Judge’s Reasons
[63] At the outset of her reasons, the application judge identified her view of the “key question” as being whether the two original developers of the lands on Plan 656, Messrs. Tripp and Aldridge, “intended that the plan describe all that they owned, or whether the subdivided land fell short of the water’s edge.”
[64] The application judge found that Messrs. Aldridge and Tripp intended to include all of the land that they owned in Plan 656 and therefore the only reason they did not include the Beach was because of their jointly-held belief that they did not own the Beach. The application judge went on to find as fact that the westerly boundary of Block B extends to the water’s edge. She stated, at para. 49:
I find that Messrs. Aldridge and Tripp intended when they subdivided the north part of Broken Lot 27 to include all that they owned. I find as fact that Block B on Plan 656 included all of the land extending to the water’s edge. It follows that on November 22, 1921, when Lots 15-21 and 23-35 were conveyed from Tripp to Aldridge, that Aldridge obtained all that Tripp owned extending to the water’s edge, subject to the right of way Tripp retained over Block B. I find that the Preston and Reynolds survey references to Block B as PIN 74041-0126 LT extending to the water’s edge are correct. I do not accept Mr. Stanton’s opinion or survey.
[65] Having found that Block B includes the Beach, the application judge turned to the issue of who owns Block B. The application judge held that 173 owns most of Block B for the following reasons, at para. 52:
I declare, based on the facts as I have found them and having regard to the opinion evidence I have accepted and the authorities and statutes to which reference was made, that the respondent 1737118 Ontario Inc. has acquired an indefeasible title to the lands as reflected in PIN 74041-0126 LT and described as Part Block B, Plan 656 Tiny being Part 1 on Reference Plan 51R-36043 obtained by transfer dated May 8, 2008 and registered as Instrument SC645393.[3]
[66] The application judge also accepted the respondents’ estoppel arguments, holding that the Township’s conduct “does give rise to an estoppel in favour of the respondents” (at para. 50). She found that in paying consideration to Ms. Olds Lewis the respondents relied to their detriment on the Township’s conduct in settling the OMB appeal.
[67] Finally, the application judge declared, at para. 53:
I declare as well, in the event that Tripp retained title of Block B to the water’s edge when he conveyed his subdivided lots to Aldridge, that the applicant may take no title pursuant to the quit claims of the Tripp heirs other than as a conduit to the respondents, as it is estopped from retaining title in the face of the settlement of the OMB appeal. It is obliged to convey any interest to the respondents as they may direct.
[68] The application judge further held that Mr. Battaglia was a bona fide purchaser for value who did not orchestrate his transaction with Ms. Olds Lewis with knowledge of any difficulties surrounding title, and who, in purchasing the property, relied on the understanding that the property owned by the Aldridge heir extended to the water’s edge. She held that the respondents took title pursuant to s. 78(4) of the Land Titles Act, R.S.O. 1990, c.L. 5, which provides:
When registered, an instrument shall be deemed to be embodied in the register and to be effective according to its nature and intent, and to create, transfer, charge or discharge, as the case requires, the land or estate or interest therein mentioned in the register.
D. ISSUES
[69] There are two main issues:
1. Did the application judge err in concluding that the western boundary of Block B is the water’s edge?
2. Did the application judge err in holding that the respondents own the South Beach?
E. ANALYSIS
1. The Boundary Issue
(1) The Intention of the Original Developers
[70] The application judge’s conclusion, at para. 49, that the water’s edge forms the westerly boundary of Block B is based on her finding that Messrs. Aldridge and Tripp intended to include the Beach as part of Block B on Plan 656 and on her apparent acceptance of the opinion expressed by Mr. Reynolds. She also accepted the reference plans prepared by Mr. Preston and Mr. Reynolds. She did not accept Mr. Stanton’s opinion or his survey.
[71] The application judge, without any legal analysis, appears to have proceeded on the basis that the intention of Aldridge and Tripp is dispositive of the question of the location of the westerly boundary of Block B. I do not wish to be taken as agreeing with this view. However, even if I were to accept, for the sake of argument, that the intention of the original developers of the lands is relevant to the determination of the boundary issue, in my opinion, the application judge’s finding that both Aldridge and Tripp intended to include all that they owned within the boundaries of Plan 656 is based on a misapprehension of the evidence.
[72] I am also of the view that Mr. Reynolds’ assessment of the location of the westerly boundary of Block B is premised on the same and additional errors. The application judge therefore mistakenly relied on his opinion. It follows that her disposition of the boundary issue cannot stand.
[73] The application judge’s conclusion that Aldridge and Tripp believed they did not own the Beach appears to be primarily based on her acceptance of Mr. Reynolds’ opinion evidence. At para. 13 of his affidavit, Mr. Reynolds says:
While Mr. Stanton’s Survey Report concludes that Mr. Aldridge was aware that he owned the beach to the waters edge, I don’t believe that there is support for this conclusion at the time Plan 656 was prepared and registered. Contrary to Mr. Aldridge being aware that he owned the beach, it is my belief that the communication from the [Ontario] Department of Lands caused Mr. Aldridge to act as though he did not own the beach. I believe that Plan 656 was prepared such that it referred to the high water line because Mr. Aldridge and Mr. Ardagh [the surveyor who prepared Plan 656] considered the western boundary of the property to be the high water line based on the position taken by the Crown. ... It is my opinion that the intent of the original developers of Plan 656 was to create Block B to the edge of the property owned by Aldridge and Tripp and to give the owners on Plan 656 access to the adjacent lands and water. I do not believe it was their intention to reserve the beach as their own land, as I believe it was incorrectly understood by all to be Crown land, and they intended to subdivide all that they owned.
[74] There is some evidentiary support for Mr. Reynolds’ assessment that Mr. Tripp did not think the Beach was part of the land he and Mr. Aldridge owned. Mr. Aldridge, in a September 9, 1921 letter to Mr. Ardagh, the surveyor of Plan 656, said the following in reference to Mr. Tripp’s views about the extent of his ownership: “the original stake for high water mark was at the fence, & therefore he cannot sign away that which never belonged to him. If the plan remains as it is – with the 100' from fence to water eliminated – he will sign.”
[75] However, there is no evidence to support the application judge’s finding when it comes to Mr. Aldridge’s intention. In fact, as I see it, the evidence leads to the opposite conclusion - that Mr. Aldridge was well aware that he owned the land to the water’s edge despite the Crown’s assertion of ownership of the Beach and that he knew that he retained title to the Beach after the registration of Plan 656.
[76] First, I refer to the June 1921 conveyance before Plan 656 was registered, in which Mr. Tripp conveyed lands to Mr. Aldridge. The deed describes the westerly boundary of the lands as running along “the water’s edge of the Georgian Bay.” It would have been clear from the legal description in the deed that Mr. Aldridge owned the lands to the water’s edge.
[77] Second, I refer to correspondence from Mr. Aldridge to Mr. Ardagh, dated November 23, 1921 – the day after Tripp transferred most of Block B to Aldridge. The correspondence states: “Everything was satisfactorily settled with Mr. Tripp. [A]fter discussion, Mr. Middleton [Aldridge’s lawyer] is making out a deed whereby I give Tripp right of way over the 20' opposite Lots 1-14 (& he gives me right of way over lots 15 to 25)”.
[78] The right of way referred to in this letter was conferred by an indenture registered on December 1, 1921 whereby Mr. Aldridge granted Mr. Tripp a right of way over the northerly part of Block B. The quoted passage from the correspondence to Mr. Ardagh demonstrates Mr. Aldridge’s understanding that Block B is a 20' strip, thus undermining the finding that Mr. Aldridge intended or understood Block B as extending to the water’s edge. The application judge did not refer to this correspondence in her reasons.
[79] Third, there is the previously noted significance of the two 1926 conveyances by Mr. Aldridge of portions of the Beach to the owners of Lots 12 and 13. In these 1926 conveyances, the Beach is described as being part of Broken Lot 27, Concession 1 “being on the lakeside” of Lots 12 and 13. The metes and bounds descriptions used in the deeds make it clear that the lands being conveyed are not parts on Plan 656, but rather lie to the west of the Plan. Mr. Aldridge’s conduct in transferring two portions of the Beach to individual lot owners demonstrates that he believed he retained title to the Beach and had the right to transfer portions of it notwithstanding the Crown’s position at the time. This is powerful evidence that Mr. Aldridge understood that he owned the Beach portion of the lands abutting Block B in front of Lots 2-14 and that the Beach was not part of Plan 656.
[80] In his letter to Mr. Battaglia in February 2006, Mr. Reynolds referred to the two 1926 transfers and mentioned, without further elaboration, that these portions of the Beach were privately owned. Mr. Reynolds’ report to the owners of Lots 12 and 13 was forwarded to Mr. Battaglia, but was not included as an exhibit to his affidavit filed on the application. This omission is significant because in his report to the owners of Lots 12 and 13, Mr. Reynolds would have presumably considered the two 1926 transactions by Mr. Aldridge.
[81] The application judge did not refer to these 1926 conveyances. It is therefore unclear how she reconciled them with her finding that Mr. Aldridge intended to include all that he owned when he subdivided the lands on Plan 656. Put rhetorically, why would Mr. Aldridge transfer portions of the Beach in deeds describing the lands as being part of Broken Lot 27, Concession 1, if he thought the lands lay within the boundaries of Block B, Plan 656? In my view, these conveyances destroy the coherence of the application judge’s factual finding that both of the original developers intended to include all that they owned in Plan 656.
[82] For these reasons, the application judge’s factual finding that Messrs. Aldridge and Tripp “intended when they subdivided the north part of Broken Lot 27 to include all that they owned” cannot stand.
[83] In para. 49 of the reasons, containing the pivotal conclusion that “Block B on Plan 656 included all of the land extending to the water’s edge”, the application judge also specifically refers to the surveys of Mr. Reynolds and Mr. Preston, saying that she finds them to be “correct”. The nature and extent of the application judge’s reliance on these surveys and the Reynolds’ opinion evidence obliquely referred to in para. 52 of her reasons are not clear. I thus find it necessary to review Mr. Reynolds’ opinion in its entirety to see if it contains any other basis for concluding that the boundary of Block B is the water’s edge, except in front of Lots 12 and 13 on Plan 656.
[84] Mr. Reynolds’ opinion is founded on three other considerations in addition to his view that the original developers intended to include all that they owned in Plan 656, namely: (i) case law concerning riparian (i.e., waterfront) boundaries; (ii) the Township’s deposit of the Preston Plan; and (iii) Mr. Reynolds’ examination of original plans for other areas along Tiny Township beaches to the north and south of Plan 656 and related decisions under the Boundaries Act, R.S.O. 1990, c.B.10.
(2) Case Law on Riparian Boundaries
[85] In his letter to Mr. Battaglia, Mr. Reynolds relied on the Gibbs decision as support for locating the westerly boundary of Block B at the water’s edge. In his affidavit filed on the application, Reynolds instead relied on Walker v. Ontario (Attorney General) and Ontario (Attorney General) v. Rowntree Beach Assn. (1994), 17 O.R. (3d) 174 (Gen. Div.).
[86] I will deal briefly with all three cases and demonstrate why none of them support Mr. Reynolds’ view that the westerly boundary of Block B is the water’s edge.
[87] The issue in Gibbs concerned the Crown’s right to use beach property. The resolution of this issue turned on the interpretation of the word “bank” in a Crown patent containing a reservation and exception in favour of the Crown of “all navigable streams, waters and water courses, with the beds and banks thereof”. There is no such reservation in the Crown patent in this case. Given this focus, Gibbs has no relevance. I suspect that this explains why Mr. Reynolds did not mention it in his affidavit, turning instead to Walker and Rowntree Beach.
[88] The Rowntree case is factually closer but remains distinguishable in significant respects.
[89] In Rowntree, a case that also involves lands in the Township of Tiny, the Province sought a declaration that it owned the land between the waters of Nottawasaga Bay on Lake Huron and a “wiggly line” shown on the original township survey map and described as the “line of the wood” in the surveyor’s field notes. In 1929, Rowntree, the original developer of the lands in question, registered a plan of subdivision that did not depict the “line of the woods”. The plan shows a series of building lots set back from the water’s edge and fronting on a block of land about 50-60 feet wide, marked as Block A and described as “Beach”. Block A lies between the fixed and monumented westerly boundaries of the various lots on the plan and the water’s edge.
[90] Ontario argued that Block A remained as Crown land given the reservation in the 1866 Crown patent of “free access to the shore of Lake Huron, for all vessels, boats and person”. These words are identical to the wording of the reservation clause in the 1866 Crown patent of the lands at issue in this case.
[91] The court rejected the Crown’s argument and held that the Crown patent extends to the water’s edge. Accordingly the court declared that the owner of Block A had title to the water’s edge.
[92] What distinguishes Rowntree is that the westerly boundary of Block A on the subdivision plan in that case is the water’s edge. There is no line or boundary on the plan of subdivision in Rowntree shown as the high water line. Thus, Rowntree does not stand for the proposition that the high water line as shown on a plan of subdivision is equivalent to the water’s edge.
[93] In contrast with Rowntree, Plan 656 shows a distinct boundary between Block B and the Beach marked “High water line”. The Beach is depicted as lying to the west of the high water line extending to the water’s edge.
[94] In my view, the only significance of Rowntree for present purposes is that it confirms that Messrs. Aldridge and Tripp held title to the water’s edge based on the identical wording of the Crown patent in Rowntree and in this case.
[95] In Walker, the issue was whether the applicant beachfront landowners on the shore of Lake Erie owned their lands to the water’s edge or only to the high water mark. The applicants’ chain of title to the lands commenced with two original Crown patents in which the lakeside boundary was described as “to Lake Erie, then Easterly along the shore of the Lake”, and “to Lake Erie, then Easterly along the Lake”. However, the applicants’ deeds described the lands being conveyed as having a boundary of the high water mark. The Province claimed ownership of the beach lands on the basis that they were ungranted.
[96] Stark J. concluded that the terms high water mark and low water mark have no relevance in non-tidal or inland waters, thereby rejecting the Crown policy that the bed of navigable bodies of water extends to the high water mark. He went on to hold that there are two exceptions to the common law rule that the boundary between land and water is at the water’s edge, at p. 181:
[T]hat any Crown patent which indicates that one of the boundaries of the lands granted is to be a boundary of water, then it establishes that boundary as at the water’s edge and not upon any bank or high water mark unless, of course, the grant clearly reserves by description or otherwise a space between the lands granted and the water boundary or unless the boundaries of the lot can be so clearly delineated by reference to an original plan of survey as to clearly except or reserve to the Crown a space between the lands granted and the water’s edge.
[97] Because the Crown patents in Walker used terms such as “to the shore” and “along the shore” of the lake, without any reservation of a space between the lands granted and the water boundary, the original grants from the Crown were held to include all land up to the water’s edge including the beach area. The beach was therefore not Crown land. Stark J.’s decision was upheld by the Court of Appeal and by the Supreme Court.
[98] The Walker decision does not support Mr. Reynolds’ view that the line shown on Plan 656 as the “High water line” is equivalent to the water’s edge. In David W. Lambden and Izaak de Rijcke, Legal Aspects of Surveying Water Boundaries (Scarborough: Thomson Canada Limited, 1996), the authors contend that the above-cited passage from Walker is not limited to Crown grants and surveys, at pp. 77-78:
Thus, in our opinion, the words of Justice Stark of Ontario (Attorney General) v. Walker [at p. 181], carry through for any conveyance: ‘high water mark’ only holds as a line creating a parcel that is not to be riparian where “the grant clearly reserves by description or otherwise [as by the evidence: Authors] a space between the lands granted and the water boundary.” Stark J.’s further exception (“or unless the boundaries of the lot can be so clearly delineated by reference to an original plan of survey as to clearly except or reserve to the Crown a space between the lands granted and the water’s edge.”) applies, in our opinion, to any conveyance. …
It follows that where, in subsequent divisions of land by written metes and bounds descriptions or by plans of subdivision, the owner has conveyed upland using the term ‘high water mark’ not used in the Crown grant, reciting this in the description or as it is shown by a surveyor on a plan, the Crown has no claim to title between such line (whatever it is thought or found to mean) and the water’s variable edge. If any space exists, the title would be in the grantee from the Crown or successor in title; or in the owners of the subdivision lots. Whether one or another is a matter of evidence and not to be lightly determined when the consequences of a poorly researched decision are considered for potential liability. [Emphasis in original.]
[99] Importantly, Mr. Reynolds fails to deal with the significance of the fact that Plan 656 delineates a space between the boundary labelled as the “High water line” and the line labelled “Water’s Edge”. This space is marked as “BEACH” and is outside the boundaries of Plan 656. He also fails to deal with the fact that the Beach was treated by one of the original subdividers as a strip of dry land to which he held title. The relevant deeds described the parcels being conveyed by Mr. Aldridge as part of Broken Lot 27, Concession 1, and not as part of Block B on Plan 656.
[100] In the light of this evidence, I share Mr. Troister’s opinion that the boundary labelled “High water line” and the line shown as the “Water’s Edge” on Plan 656 represent two distinct boundaries. In my view, the boundary labelled as “High water line” holds as a line creating a parcel – namely, Block B – that is not riparian.
[101] I would add that this conclusion is consistent with how the Beach and Block B are depicted on the property index map found in the local land registry office. Property index maps are not plans of survey, but give the approximate location of individual parcels of land and their property index numbers. Block B is shown on the property index map as a 20' wide strip of land abutting the westerly boundary of the lots on Plan 656. Lying to the west of Block B is a strip of variable width fronting on Nottawasaga Bay. Located on this strip are the two parcels of the Beach that abut Lots 12 and 13. The property index map describes these parcels as being part of Lot 27, Concession 1.
[102] Finally, I accept Mr. Stanton’s expert evidence that, in locating on the ground the boundary labelled as “High water line”, it is not necessary to try to ascertain where the high water mark existed when Plan 656 was prepared. As he explained in his report: “the 20 foot dimension [is] the best evidence of the westerly limit of Block B on Registered Plan 656”.
(3) The Preston Plan
[103] In his affidavit, Mr. Reynolds comments as follows about the Preston Plan:
I have reviewed the Preston Plan and agree with it to the extent that it depicts the Westerly boundary of Block B as the waters edge. … The Township’s current approach contradicts its own surveyor and the Reference Plan that it had prepared, reviewed, accepted and deposited.
…
I reviewed and relied on the Preston Plan as well as my own survey field work and document review in preparing the Reynolds Plans.
[104] Mr. Reynolds further deposed that he does not agree with the Preston Plan in that it included within the boundaries of Block B the two portions of the Beach that had been transferred to the owners of Lots 12 and 13. However, he agrees with the Preston Plan’s depiction of the westerly boundary of Block B as the water’s edge.
[105] Mr. Reynolds does not explain why it is sound surveying practice to determine the location of a disputed boundary based on where another reference plan shows the boundary. Given the obvious error in the Preston Plan in depicting the westerly boundary of the entire length of Block B at the water’s edge (including in front of Lots 12 and 13), I do not think it was safe for Mr. Reynolds to rely on this plan in preparing his own reference plans. In any event, it does not appear that he relied on the Preston Plan to any great extent, considering that Mr. Reynolds performed his own survey work and conducted his own document review in preparing his reference plans.
(4) Other Waterfront Plans in Tiny Township
[106] In his affidavit, Mr. Reynolds says that he examined original plans along Township beaches and that he has “never seen the beach itself included in the original or coloured plans that I have reviewed.” He attributes this to the provincial government’s policy of refusing to approve any plan that illustrated the land being subdivided as extending to the water’s edge.
[107] Mr. Reynolds also expresses the view that his approach to treating the high water mark as equivalent to the water’s edge is “consistent with principles that have been applied to riparian and boundary court decisions and decisions under the Boundaries Act.” As examples, he attached two decisions by the Deputy Director of Titles under the Boundaries Act confirming the location on the ground of the boundaries of different Township of Tiny waterfront lots: Marion (Township of Tiny), Deputy Director of Titles J.S. Cotterill (31 May 2006) and Cornell (Township of Tiny), Deputy Director of Titles J.S. Cotterill (24 October 2008).
[108] Mr. Reynolds did not elaborate on how these decisions support his view that Block B is riparian. Both decisions involved disputes over the location of the westerly boundary (i.e., the lakeward boundary) of lots along Georgian Bay and more particularly, whether the westerly boundary was the high water mark or the water’s edge.
[109] It is difficult to analyze the significance of these decisions without the benefit of a copy of the plans of survey in question. In any event, there is no suggestion in either decision that the Deputy Director was considering a plan of subdivision that includes a parcel of land similar to Block B on Plan 656, which is shown as having a westerly boundary labelled high water line. There is also no suggestion that these cases involved conveyances by the original developers of portions of land located between the water’s edge and the high water line or mark.
[110] Mr. Reynolds also referred to an unspecified Boundaries Act case involving Plan 917, a registered plan of subdivision affecting waterfront lands in the Township of Tiny. This plan is similar to Plan 656 in that it shows a parcel of land marked as Block A with a westerly boundary shown as “High Water Mark” and a parcel of land shown as “Beach”, lying to the west of this line and extending to a line marked “edge of Water”. According to Mr. Reynolds, the beach area was added to Block A in a Boundaries Act decision.
[111] It is impossible to assess the significance of this unnamed decision without knowing the submissions that were made to the Director of Titles and the evidence that was presented to him.
(5) Boundary Issue – Conclusion
[112] Based on this analysis, I conclude that the application judge’s finding that Messrs. Tripp and Aldridge intended to include the Beach in Plan 656 reveals a misapprehension of the evidence and reflects her reliance on the flawed opinion evidence of Mr. Reynolds. Her resulting conclusion that the westerly boundary of Block B is the water’s edge must be set aside.
[113] In my view, the boundary issue should be analyzed as follows. First, the dispute is over the location of the westerly boundary of a registered plan of subdivision. Second, the boundary in question is shown not only as the “High water line”, but also as creating a strip depicted as being 20'± in perpendicular width. Third, the Plan creates a separate parcel between Block B and the water’s edge, identified as “BEACH”.
[114] Fourth, the evidence indicates that Mr. Aldridge understood that he retained title to the Beach and that he also understood that the Beach was not included in Plan 656.
[115] Fifth, Mr. Reynolds’ opinion that Block B extends to the water’s edge, except in front Lots 12 and 13, is inconsistent with how Block B is depicted on Plan 656. As Mr. Troister succinctly and sensibly put it in his opinion: “[T]o extend Block B to the water’s edge in some places but recognize that Block B does not overlap with the beach in front of lots 12 and 13 is… illogical. Either Block B goes to the water or it does not. It is a strip of consistent width.”
[116] These considerations compel the rejection of Mr. Reynolds’ view that the westerly boundary of Block B is the water’s edge and the acceptance of Mr. Stanton’s view that the best evidence of the location of the westerly boundary of Block B is the 20'± measurement provided on Plan 656. Accordingly, I would accept the accuracy of the Stanton Plan.
[117] Finally, I do not wish to be taken as having decided whether or not a boundary labelled as the high water line or high water mark on a registered plan of subdivision may ever be extended to the water’s edge. I simply conclude that there is no justification for doing so on the particular facts of this case.
2. The Ownership Issue
(6) The Application Judge’s Reliance on s. 78(4) of the Land Titles Act
[118] The next issue that must be assessed is the correctness of the application judge’s reliance on s. 78(4) of the Land Titles Act for her conclusion that 173 acquired indefeasible title to the majority of Block B – including the Beach – through the May 8, 2008 transfer from the Aldridge heir to 173. The 2008 transfer describes the property being conveyed as Block B, Plan 656, being Part 1 on Plan 51R-35342, except for Parts 1 and 2 on Plan 51R-36043, subject to multiple right ways over Block B by the various owners of lots on Plan 656.
[119] In my view, the application judge erred in concluding that 173 acquired indefeasible title to the majority of the Beach through the May 2008 transfer. For the reasons set out above, the reference plans referred to in the property description, which were deposited on title by Mr. Reynolds, are based on his flawed analysis of the location of the westerly boundary of Block B.
[120] A reference plan is intended to provide a convenient graphic description of property that avoids the need for a metes and bounds description in a registered transfer or charge. A reference plan is deposited on title rather than registered. In contrast to a registered instrument, it is important to bear in mind that a reference plan deposited on title does not independently create an interest in land. See MacIsaac v. Salo, 2013 ONCA 98, at para. 45 and see Lumme v. Eagle Point, L.L.C., 2011 ONCA 291, where, at para. 5, this court said: “The reference plan... does not convey any interest in property. It is a reference plan and only that.”
[121] No statutory or common law authority has been cited to this court to suggest that by depositing a reference plan on title to lands that are subject to a registered plan of subdivision, the reference plan may somehow supersede or re-draw the boundaries shown on the registered plan.
[122] In my view, the fact that the property description in the May 2008 transfer to 173 refers to the erroneous Reynolds Plans, does not have the effect of changing the location of the westerly boundary of Block B on Plan 656 to the water’s edge. It is open to this court to grant declaratory relief, as the Township requested, confirming that the Reynolds Plans are not accurate in depicting the westerly boundary of Block B as the water’s edge.
[123] The property description in the May 2008 conveyance did not have the effect of creating an indefeasible interest in land that was wrongly included within the boundaries of Plan 656 by reference to the erroneous depiction of the westerly boundary of Block B on Plan 51R-35342. This court explained in Lumme, at para. 6: “The Land Titles Act only guarantees the quality of one’s title, not the extent of it.” This assertion is based on s. 140(2) of the Land Titles Act, which states:
140. (2) The description of registered land is not conclusive as to the boundaries or the extent of the land.
[124] After referring to Lumme, Winkler C.J.O. explained in MacIsaac, at para. 46:
Section 140(2) of the Land Titles Act is a significant qualification to the language of s. 78(4). The principle of indefeasibility of title does not preclude the correction of a registered instrument containing a misdescription of the boundaries or the extent of land.
[125] There is no unfairness to the respondents in correcting the property descriptions in the May 2008 conveyances. As will be explained below, the evidence shows that Mr. Battaglia was aware that various documents in the title register did not treat the Beach and Block B as one parcel of land, and he structured the agreement of purchase and sale in the light of this knowledge.
[126] Therefore, the application judge further erred in declining to grant the Township’s request for an order that would correct the erroneous depiction of the westerly boundary of Block B on the Reynolds Plans.
(7) Estoppel
[127] The application judge also held that the equitable doctrine of estoppel precludes granting the relief the Township requested. The application judge’s reasons contain only brief references to the operation of estoppel, particularly at paras. 50 and 53:
In paying the consideration it did to the Aldridge heir, I find that the respondents relied to their detriment upon the applicant’s conduct in settling the OMB hearing. The applicant’s conduct does give rise to an estoppel in favour of the respondents as claimed herein.
…
I declare as well, in the event that Tripp retained title of Block B to the water’s edge when he conveyed his subdivided lots to Aldridge, that the applicant may take no title pursuant to the quit claims of the Tripp heirs other than as a conduit to the respondents, as it is estopped from retaining title in the face of the settlement of the OMB appeal. It is obliged to convey any interest to the respondents as they may direct.
[128] On the application and before this court, the respondents rely on three forms of estoppel – proprietary estoppel, general principles of estoppel by conduct, and feeding the estoppel. They argue that these doctrines of estoppel were properly applied to prevent the Township from taking the position that Block B is a 20' wide strip based on its conduct in settling the OMB appeal and completing the May 2008 transfers.
[129] The application judge failed to identify what doctrine or doctrines she was relying on in concluding that the Township’s conduct gave rise to an estoppel. This court is left to speculate about the basis for her conclusions regarding estoppel.
[130] As I will explain, regardless of which form of estoppel the application judge had in mind, I am of the view that her resort to estoppel represents a misapplication of the governing principles.
(i) Proprietary Estoppel
[131] Proprietary estoppel affects or creates rights of property and is relevant to interests in land: see A.J. Oakley, Megarry’s Manual of the Law of Real Property, 8th ed. (London: Sweet & Maxwell Ltd., 2002), at p. 483. As explained by this court in Schwark Estate v. Cutting, 2010 ONCA 61, 261 O.A.C. 262, at para. 16, there are three elements needed to establish proprietary estoppel: 1) encouragement of the plaintiffs by the defendant owner; 2) detrimental reliance by the plaintiffs to the knowledge of the defendant owner; and 3) the defendant owner seeks to take unconscionable advantage of the plaintiff by reneging on an earlier promise.
[132] According to the respondents, proprietary estoppel operates to prevent the Township from advancing a claim that Block B is a 20' wide strip that does not include the Beach. I conclude it was not open to the application judge to find that the unconscionability element of the test for proprietary estoppel was established based on the evidentiary record on the application.
1) Encouragement by the Township
[133] It could be said that the Township encouraged Mr. Battaglia to pursue his endeavour to purchase the Beach simply because the Township agreed to facilitate Mr. Battaglia’s efforts to close the transaction with Ms. Olds Lewis by transferring to her the majority of Block B, which it then understood as including the Beach, in return for Mr. Battaglia’s agreeing to settle his OMB appeal.
[134] However, as will be discussed in greater detail below, the primary motivation behind Mr. Battaglia’s efforts to locate Mr. Aldridge’s heir and to negotiate the purchase of her interest in Block B was the receipt of the Reynolds letter. Moreover, in agreeing to facilitate the transfer to Mr. Battaglia’s company, the Township “was unaware of any controversy over the boundary of Block B and acted accordingly” (at para. 34).
[135] Thus, while I would not intervene based on the encouragement prong of the test, I note that the evidence supporting this prong is weak.
2) Detrimental Reliance
[136] The application judge found that detrimental reliance was made out because the respondents paid consideration to the heir of Mr. Aldridge in reliance on the Township’s conduct in settling the OMB appeal.
[137] Again, I would not interfere with this finding. However, I would note that the application judge failed to refer to competing considerations, including that Mr. Battaglia was also relying on the advice of Mr. Reynolds and his own lawyers in entering into the agreement of purchase and sale with Ms. Olds Lewis. Indeed, he executed a draft of the agreement with Ms. Olds Lewis in May 2007, almost six months before the Township’s passage of the resolution settling the OMB appeal on October 29, 2007. It would appear, therefore, that the settlement may have fortified the respondents’ resolve to complete the transaction. It clearly did not establish it.
3) Unconscionable advantage
[138] The application judge did not refer to the unconscionability prong of the proprietary estoppel test or explain why this element of the test was satisfied. In Schwark Estate, at paras. 27-29, this court endorsed a five-part test for determining if unconscionability is established. The application judge ought to have considered whether the following five elements were present in this case:
1. The respondents must have made a mistake as to their legal rights;
2. The respondents must have expended some money or must have done some act on the faith of their mistaken belief;
3. The Township must have known of the existence of its own right which is inconsistent with the right claimed by the respondents;
4. The Township must have known of the respondents’ mistaken belief of their rights; and
5. The Township must have encouraged the respondents in their expenditure of money or in the other acts which they have done, either directly or by abstaining from asserting its legal right.
[139] In my view, none of the elements of unconscionability is present based on the evidentiary record.
[140] With regard to the first criterion, it would be necessary to find that the respondents held the mistaken view that by acquiring Block B from Mr. Aldridge’s heir, they were obtaining legally valid title to the Beach. This finding is not available given the considerable evidence indicating that the respondents were well aware of the legal uncertainty surrounding the boundaries and ownership of Block B. They entered into the transaction with Ms. Olds Lewis despite these risks.
[141] For example, during his cross-examination on his affidavit, Mr. Battaglia testified that during his investigations concerning the Beach, he received a rough sketch from a local title searcher, Leslie Burley. This sketch shows the Beach in front of Block B on Plan 656 and that Block B goes to the high water mark. The sketch notes: “Beach area shows in front of Block B but not included in plan” and “Block B Plan 656 goes to high water mark”. Thus, Mr. Battaglia had before him pictorial evidence showing that the Beach was not part of Block B on Plan 656.
[142] Additional significant evidence of the respondents’ knowledge of the uncertainties surrounding the extent and ownership of Block B is found in the wording of the draft and final version of the agreement of purchase and sale between 173 and Ms. Olds Lewis. The agreements describe the property being purchased as Part of Block B on Plan 656 “and adjacent beachfront property down to the water’s edge, shown as Part 1 on Plan 51R-35342 dated April 22, 2007, and all rights of action with respect thereto” (emphasis added).
[143] Simply put, if Mr. Battaglia had mistakenly thought that Block B incontrovertibly included the Beach, the emphasized wording in the description of the lands being acquired would not have been included. These words are clear evidence that Mr. Battaglia was aware of the risk that Block B might not include the Beach and that he might face subsequent legal challenges as a result of his assertion of ownership over the Beach.
[144] Given that the evidence is incompatible with a finding that Mr. Battaglia held the mistaken belief that the boundaries of Block B and the ownership of the Beach were clearly established, the first, second and fourth elements of the test for unconscionability are not met. Mr. Battaglia was aware of the uncertainty and risks surrounding the title and boundaries issues when he agreed to pay Ms. Olds Lewis $150,000 plus transaction costs for acquiring title to the vast majority of the Beach. It appears from the evidence that Mr. Battaglia, a sophisticated businessman with significant experience in real estate, took a calculated risk with respect to both the extent of Block B and the possibility of triggering a legal battle over his ownership rights.
[145] While the Township’s agreement to facilitate the transfer to the respondents might have diminished Mr. Battaglia’s concerns about whether the transaction with Ms. Olds Lewis would be challenged, it would not eliminate them. There would have been an obvious risk that the lot owners on Plan 656 might seek to invalidate the transfer.
[146] Concerning the fourth element of the test, obviously, the Township could not have known of a mistaken belief that Mr. Battaglia did not hold.
[147] Returning to the third element of the test for unconscionability, the application judge’s factual findings are inconsistent with a finding that, in settling the OMB appeal, the Township knew of the existence of its own right – or more accurately, the right of the Tripp heirs – to the South Beach. The application judge found, at para. 34, that “the municipality was unaware of any controversy over the boundary of Block B”. She based this finding on her acceptance of the evidence of Douglas Luker, the Chief Administrative Officer of the Township. He testified that, after receiving the covering letter from Burgar Rowe, dated September 19, 2007, the Township’s understanding regarding Block B and the Beach was “[t]hat they were one.” As noted above, the covering letter from Burgar Rowe attaching and purporting to summarize Mr. Troister’s opinion fails to mention that Mr. Troister considered if Block B includes the Beach and concluded it does not.
[148] Although the Township clearly had the entirety of Mr. Troister’s opinion in its possession, its conduct in registering the May 2008 transfers, which refer to the Reynolds Plans, strongly suggests that the Township made an uninformed mistake in treating Block B as being bounded by the water’s edge. The Township did not stand to gain any advantage by treating Block B as including the Beach, aside, perhaps, from avoiding the need to contact the heirs of Mr. Tripp. The far more likely explanation for the Township’s behaviour is the evidence accepted by the application judge that the Township’s actions were based on the incomplete information that Burgar Rowe provided in its covering letter.
[149] I do not wish to be taken as suggesting that the Township’s conduct in failing to review the entirety of Mr. Troister’s opinion letter is entirely blameless. However, in my view, the failure of the Township’s solicitor to mention – let alone summarize – a critical portion of Mr. Troister’s lengthy opinion tells against imputing knowledge to the Township. In any event, even if I were to impute knowledge to the Township of Mr. Troister’s opinion that Block B did not include the Beach, the other elements of the test for unconscionability are not met.
[150] As for the final element of the test, in my view, the Township’s encouragement in the form of agreeing to facilitate the transfer from Ms. Olds Lewis to 173 in return for Mr. Battaglia dropping his OMB appeal does not exhibit the type of direct encouragement that is capable of establishing unconscionability. A review of the evidence demonstrates that the triggering event for Mr. Battaglia’s purchase of Block B was not the Township’s encouragement, but rather his receipt of Mr. Reynolds’ letter dated February 18, 2006.
[151] After receiving the Reynolds letter, along with the report to the owners of Lots 12 and 13, Mr. Battaglia undertook complicated arrangements to secure title to the Beach. He advised the Township in a letter dated March 8, 2006, that he was appealing the zoning by-law as it pertained to his lands. He hired a private investigator to locate the Aldridge heir and consulted a local title searcher about Block B and the Beach. After finding Ms. Olds Lewis, he began negotiations to purchase Block B. He testified that he had a team of lawyers acting for him during the process.
[152] This evidence establishes that Mr. Battaglia acted on his own volition and with the benefit of independent advice in undertaking a time-consuming project to try to wrest title to the Beach from the Township and obtain it for himself. The element of vulnerability on the part of the plaintiff that was present in a case relied on by the respondents, Flello v. Baird, 1999 BCCA 244, 172 D.L.R. (4th) 741, is notably absent in this case.
[153] Finally, it is significant that the Township is not resiling from the agreement related to the zoning issue. The lands will continue to be zoned as private open space.
[154] Thus, on the one hand, Mr. Battaglia initiated the efforts to acquire the Beach and he was aware that doing so could expose him to legal action. On the other hand, in facilitating this transaction, the Township was mistaken in its view that Block B includes the Beach and that Ms. Olds Lewis was the rightful owner of most of the Beach. In these circumstances, there was no basis for the application judge to find that the Township would be taking unconscionable or unjust advantage of the respondents by asserting on the application that Block B is a 20' wide strip that does not include the Beach.
(ii) Estoppel by Words or Conduct
[155] The respondents also submit that the Township’s conduct gives rise to a more general type of estoppel as described by Ritchie J. in John Burrows Ltd. v. Subsurface Surveys Ltd., [1968] S.C.R. 607, at p. 615:
The principle, as I understand it, is that where one party has, by his words or conduct, made to the other a promise or assurance which was intended to affect the legal relations between them and to be acted on accordingly, then, once the other party has taken him at his word and acted on it, the one who gave the promise or assurance cannot afterwards be allowed to revert to the previous legal relations as if no such promise or assurance had been made by him, but he must accept their legal relations subject to the qualification which he himself has so introduced, even though it is not supported in point of law by any consideration, but only by his word.
[156] Assuming, without deciding, that this more general doctrine of estoppel by words or conduct is applicable in a case where legal rights to property are being asserted, the conduct at issue in this case cannot give rise to this form of estoppel. Any “assurance” that the Township may have given to Mr. Battaglia to the effect that Ms. Olds Lewis held title to the Beach was based on its mistaken view that Block B included the Beach. Having realized that the Tripp heirs were the rightful owners of the South Beach, the Township went about trying to remedy the title problems it had unwittingly helped create, which the respondents had taken advantage of. Permitting the Township to restore the correct legal circumstances surrounding the property in issue would not result in the requisite unfairness to the respondents.
(iii) Feeding the Estoppel
[157] The application judge stated, at para. 53, that “in the event Tripp retained title of Block B to the water’s edge when he conveyed his subdivided lots to Mr. Aldridge, … [the Township] may take no title pursuant to the quit claims of the Tripp heirs other than as a conduit to the respondents.”
[158] This statement suggests the application judge may have been relying on the doctrine of feeding the estoppel. The effect of the doctrine of feeding the estoppel is that, when a grantor has purported to grant an interest in land that he or she did not actually possess at the time, but the grantor subsequently acquires this interest, the benefit of this subsequent acquisition automatically transfers to the benefit of the earlier grantee – it feeds the estoppel by deed created by the original grant.
[159] As a prerequisite to the doctrine of feeding the estoppel, a claimant must first establish estoppel by deed: see Bruce MacDougall, Estoppel (LexisNexis Canada Inc., 2012), at pp. 72-78. The doctrines of estoppel by deed and feeding the estoppel are described by this court in Re Certain Titles to Land in Ontario, [1973] 2 O.R. 613, at p. 629:
An interest in land is created by estoppel when the grantor has no legal estate or interest therein at the time of the grant, and although a title by estoppel is not good as against all the world but only against the grantor, who is estopped by his own deed as against him, it has all the elements of a real title. Where the grantor subsequently acquires a legal title to the premises which he has purported to grant that legal estate or interest is said to feed the estoppel, and the original grant then takes effect in interest and not by estoppel, but the grantor is estopped from saying that he had no interest at the time of the grant. Thus through the instrumentality of what is a pure legal fiction, i.e., by operation of law, the grantee's erstwhile estate by estoppel valid only as against his grantor became an estate in interest valid as against the rest of the world without the necessity of the grantee obtaining a further or supplementary grant from the grantor, or without any other or further documentation.
[160] Here, the respondents argue that the doctrine of feeding the estoppel applies at two stages. First, Mr. Tripp transferred his interest in the south half of Plan 656 to Mr. Aldridge, retaining only Lot 22 and Block A and Block B in front. He did not purport to reserve the Beach to himself through this transfer. The evidence establishes that Mr. Tripp did not believe he owned the Beach. According to the respondents, Mr. Tripp and his heirs would be required to feed the estoppel to anyone claiming through the Aldridge heirs, including 173.
[161] Second, the Township, conveyed to Mr. Battaglia (through Ms. Olds Lewis) land described in conveyances as Block B being to the water’s edge based on reference plans it had reviewed and incorporated in the transfer. The Township later acquired an interest (through the Tripp heirs’ quit claims) in what it purported to transfer, so it must feed the estoppel.
[162] Neither the application judge nor the respondents addressed the above-mentioned prerequisite to the doctrine of feeding the estoppel, which is the need to first establish estoppel by deed. Estoppel by deed relates to a grant of title or estate by one party to the other that is purportedly made by the deed or assumed in the deed. The estoppel is related to the nature of the relationship between the parties to the deed and does not depend on any explicit assertion in the deed.
[163] Estoppel by deed applies where the deed purports to make a grant of interest that cannot be made at the time of the transaction because of a lack of the grantor’s interest: MacDougall, at pp. 61-62. As between the parties, they are held to their agreement as to entitlement. Estoppel by deed does not work through equity and there are no equitable constraints on whether a transfer of a property right or interest will be effected through the estoppel: MacDougall, at p. 62.
[164] The respondents cannot establish estoppel by deed in respect of the 1921 conveyance from Mr. Tripp to Mr. Aldridge of the southerly lots on Plan 656 except Lot 22 and Block A and Block B in front of those two lots. There is no issue that Mr. Tripp had an interest in the lands that he was purporting to convey and that he in fact conveyed his interest. This is not a case where he subsequently came to acquire an interest in lands that he earlier had purported to transfer to Mr. Aldridge. The prerequisite for applying the doctrine of feeding the estoppel in favour of the respondents is absent.
[165] Concerning the May 2008 conveyance from the Township to Ms. Olds Lewis, it is important to point out that the doctrine of estoppel by deed operates to hold the parties to their grant and prevents the grantor from denying that a grant has been effected by the deed: see MacDougall, at p. 78. Here, the Township is not disputing that a grant was effected by the deed to Ms. Olds Lewis. Rather, the Township is disputing the boundaries of the property that it conveyed to Ms. Olds Lewis in the May 2008 transfer because of the erroneous Reynolds Plans referred to in the property description. The Township delivered the May 2008 transfer to Ms. Olds Lewis to correct a defect it had created in her title to her lands in 2001 when it transferred Block B to itself. The Township is not attempting to resile from its effort to correct her title. The respondents have not pointed to any authority to suggest that the doctrine of estoppel by deed would apply in this context to hold the grantor to an erroneous description of boundaries contained in the deed.
[166] For these reasons, on the facts of this case, I am of the view that there was no estoppel by deed to feed through to the respondents.
[167] Even assuming that the doctrine of estoppel by deed would apply to estop the Township from contesting the boundaries of Block B, the doctrine of feeding the estoppel, unlike the doctrine of estoppel by deed, is an equitable doctrine: see MacDougall, at pp. 62-63. As Stong J. (dissenting in the result) explained in Sydney and Louisburg Coal and Railway Co. v. Sword (1892), 21 S.C.R. 152, at p. 159:
A grantor, who purports to convey land to which he has no title, if he afterwards acquires title will, no doubt, be restrained by a Court of Equity from setting up his paramount title against his own grantees and will be compelled to make good out of the title so subsequently acquired the title which he had previously purported to convey. But this equity is one which is only enforced on proper terms and is something wholly different from legal estoppel.
[168] The equities of the situation in this case are not the same as where a grantor purports to have legal title to the land, transfers the land to another, subsequently obtains legal title to the land, but then seeks to retain the land by relying on his/her lack of legal title at the time of the original grant. The Township’s belief that Ms. Olds Lewis was the rightful owner of the majority of Block B, its mistaken belief that Block B included the majority of the Beach, combined with Mr. Battaglia’s knowledge that Block B as shown on Plan 656 does not include the Beach, negates the equitable rationale behind the doctrine of feeding the estoppel in the circumstances of this case.
[169] I conclude therefore that the application judge erred in holding that the Township was precluded from obtaining the relief sought by any doctrine of estoppel upon which the respondents relied.
F. Disposition
[170] For these reasons, I would allow the appeal and would set aside the application judge’s judgment granting declaratory relief to the respondents. I would grant the Township’s application for a series of declarations as set out in the Township’s amended notice of application. To paraphrase the declarations sought by the Township, I would grant the following items of declaratory relief:
· confirm the accuracy of the Stanton Plan and the inaccuracy of the Reynolds Plans;
· confirm that, as of the date of the application, the heirs of Jonathan Tripp were the legal owners of the South Beach (i.e., Part 3 on the Stanton Plan);
· confirm that any transfers by the Tripp heirs to the Township of the South Beach will be effective to convey their respective interests in Part 3 on the Stanton Plan to the Township;
· confirm that the respondents do not have a legal or beneficial interest in the South Beach;
· direct the Land Registrar for the Registry Office of Simcoe County to amend the register to show that the Tripp heirs own the South Beach and to register any transfers by those heirs to the Township; and
· direct the Land Registrar to issue new Property Identification Numbers reflecting the legal descriptions and boundaries of the lands within Plan 656 and the Beach in front of those lands.
[171] The notice of application also requests a certificate of pending litigation with respect to the northern portions of the Beach, which are designated as Parts 1, 2 and 3 on the Stanton Plan. This is a matter for the Township to pursue before a justice of the Superior Court, if so advised.
[172] My conclusion would result in the Township being entitled to its costs of the application and of the appeal. I would award the Township its costs below as fixed by the application judge, in the amount of $55,000.
[173] With respect to the appeal, based on the written submissions of counsel provided at the conclusion of argument, I would award the Township its costs in the amount of $18,000. Both amounts are inclusive of disbursements and applicable taxes.
Released:
“APR 30 2013” “Gloria Epstein J.A.”
“JS” “I agree Janet Simmons J.A.”
“I agree Russell Juriansz J.A.”
Schedule A

Schedule B

Schedule C

Schedule D

Schedule E

Schedule F

[1] It did so through an amendment to the Bed of Navigable Waters Act in The Statute Law Amendment Act, 1940, S.O. 1940, c. 28, s. 3. The amendment was repealed in 1951 by the Bed of Navigable Waters Amendment Act, 1951, c. 5.
[2] There is also Lot 1 on the Plan lying to the west of Woodland Avenue, but Lot 1 does not abut Block B.
[3] The application judge erroneously referred to Part 1 on Reference Plan 51R-36043. In fact, Instrument SC645393 conveyed to 173 Part 1 on Reference Plan 51R-35342, excluding Part 1 and Part 2 on Plan 51R-36043. The judgment as issued and entered corrects this mistake. The application judge did not mention that the Township had not requested a declaration concerning the ownership of the northerly portion of the beach in the amended notice of application. Nor did she mention that the respondents had not asked for any declaratory relief by way of a separate application.